36 Internationale fraudezaken rondom een kavel te Coevorden binnen een tijdbestek van 13 jaar.
Een triest wereldrecord geschikt voor
het Guinness Book of Records?

Deze 36 fraudezaken rondom kavel K-668 te Coevorden worden min of meer in afzonderlijke hoofdstukken beschreven.
Bij al deze 36 zaken is de gemeente Coevorden als dader nauw betrokken, het OM Assen bij 12 en het Kadaster bij 7.

In 7 gevallen steelt de gemeente Coevorden met medeweten van het Kadaster hierbij stukken grond en soms zand.

Al zijn deze fraudes nog zo snel,
de waarheid achterhaalt ze wel.

Op zaterdag 23 oktober 2010 is het Bevrijdingsdag van EuroStaete en worden daarna alle onrechtmatigheden uit EuroStaete verwijderd.

Hier volgt het eerste hoofdstuk.

Fraude door het Kadaster en de gemeente Coevorden
Het Nederlands Kadaster maakt per jaar meer dan 10.000 fouten. Zoveel fouten dat hier door de Tweede Kamer vragen over zijn gesteld. Over deze fouten van het Kadaster gaat het niet. Hier gaat het om doelbewuste fouten van het Kadaster in samenwerking met de Nederlandse overheid om burgers te belazeren.

Wat is het verschil?
Als het Kadaster een fout maakt en de eigenaar komt hier achter, dan kan het Kadaster deze fout herstellen. Meestal gebeurt dat ook. Maakt het Kadaster in samenwerking met de overheid doelbewust fouten en de eigenaar stelt hierover vragen, waarbij het Kadaster alles in het werkt stelt om deze “fouten” te verdoezelen, dan spreekt men van fraude. Over deze zwendel van het Kadaster met toen nog een kantoor in Assen rondom de kavel 668 te Coevorden gaat het hier.

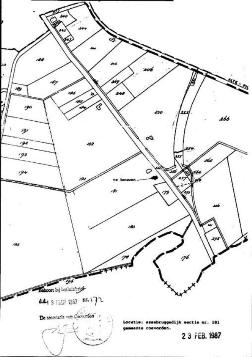
Klik voor een grotere figuurWij beginnen met een tekening van het deelgebied de Heege van de gemeente Coevorden rond 1987 (figuur 1). De lange weg in het midden van deze tekening is de Esschebruggedijk. Deze weg is vanaf Coevorden tot bijna aan de Duitse grens geheel recht. Deze rechte weg is essentieel voor de grootte van de kavels 179 en 180, die in het bezit van H.G. Beukeveld zijn.

Om deze twee kavels draait onderstaand verhaal en met name om kavel 180, dat later andere nummers o.a. de nummers 668 en 1427 krijgt.

Wat ook belangrijk is, dat op de plaats waar de tekst staat Duitsland is. De rare puist is dus Duitsland, dat in 1995 in het bezit van de fam. Beukeveld komt. De gedempte sloot om deze puist wordt later EuroStaete.

De grens tussen Nederland en Duitsland is met een dikke streep en met plussen weergegeven. Op de plek van de plussen wordt de grens genormaliseerd. Dat wil zeggen de echte grens bevindt zich hier in het midden van een sloot waarbij de grenspalen om en om aan beide zijden van de sloot staan. Rondom de puist zijn enkelvoudige grenspalen aanwezig. Hier loopt de grens Nederland/Duitsland precies over het midden van deze grenspalen.  Het gegeven, dat om de puist enkelvoudige grenspalen staan, is voor ons verhaal eveneens belangrijk om te onthouden. Klik voor een grotere figuur

Ondanks het feit dat om de puist altijd een brede sloot heeft gelegen, staan vanaf 1816 tot aan 2006 maar enkelvoudige grensstenen rond deze puist. Dat heeft zijn reden, zie hiervoor de minuten van de grensstenen met de nummers 142, 143 en 144.

In figuur 2 is een uitvergroting van een oude luchtfoto van hetzelfde gebied als in figuur 1 weergegeven. De oorspronkelijk rechte Esschebruggedijk maakt hier een bocht naar de rondweg rond Coevorden. Toch is nog duidelijk te zien, dat in het verleden de Esschebruggedijk echt recht is geweest. Zie hiervoor de rode lijn over het midden van de figuur. Om het gebied in de gele cirkel draait het eerste probleem van het Kadaster Assen, dat samen met de gemeente Coevorden met grenzen en grond tussen enkele kavels gaat sjoemelen.

Klik voor een grotere figuur In figuur 3 zijn anno 2006 de ligging van Coevorden, Nederland, EuroStaete en Duitsland weergegeven. Voor het ontstaan van EuroStaete wordt naar het bestand EuroStaete verwezen. Hier wordt niet verder op het ontstaan van EuroStaete ingegaan, dan alleen de ligging, die voor het gehele verhaal over de te vele fraudezaken belangrijk is om te onthouden.

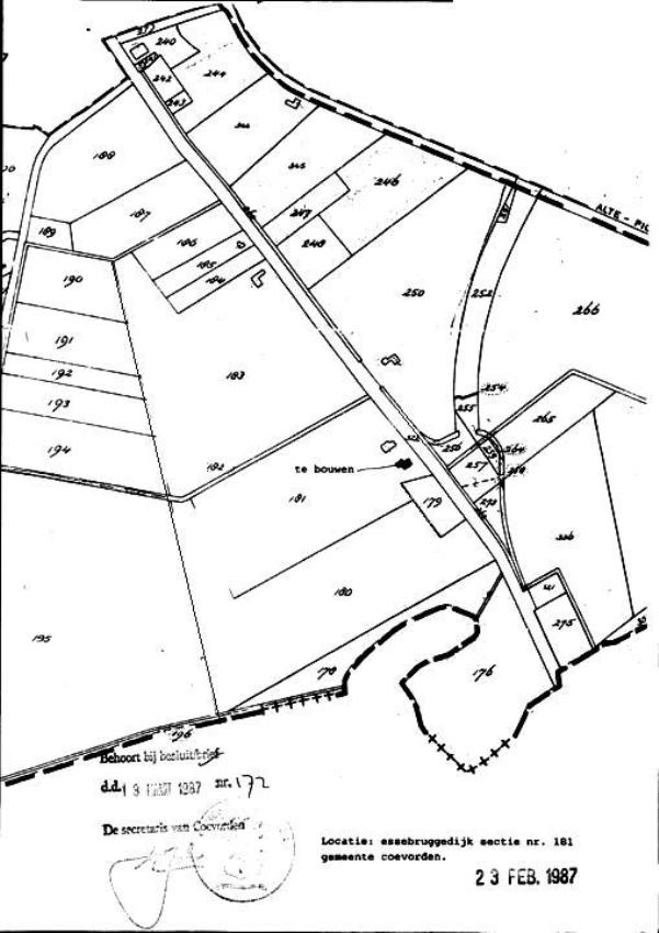
Met een tekening uit 1997 is in figuur 4 te zien dat de kavels van hetzelfde gebied als in figuur 1 andere nummers hebben gekregen en dat de oorspronkelijk rechte Essche-bruggedijk een bocht maakt en nu op de ringweg rond Coevorden aansluit. Ons verhaal gaat nu over de nummer 668, 669, 671 en de Duitse puist.

De tekening in figuur 4 is 10 jaar jonger dan die van figuur 1. Klik voor een grotere figuur

Te zien is dat de grens tussen de kavels 669 en 671 recht is en dat kavel 671 is ontstaan door het omleggen van de Esschebruggedijk naar de rondweg. Deze kavel is in eerste instantie van de gemeente Coevorden, die hier een tankstation en een motel op wil laten bouwen. In de te vergroten figuur staan de letters a, b en c, die respectievelijk staan voor de lengten van beide kavels en de afstand van de wasserij naar het tripelpunt waar de drie kavel 668, 669 en 671 bij elkaar komen. De ratio a/b, b/c, a/c, c/b en c/a worden indien mogelijk voor elke figuur berekend om te kijken welke figuren bij elkaar horen en welke absoluut niet. Deze gegevens komen in tabel 1 te staan.

Ook in deze figuur zijn de twee typen grensafbakeningen tussen Nederland en Duitsland duidelijk weergegeven.

Rond 1995 verkoopt H.G. Beukeveld kavel 669 en koopt hij van zijn Duitse buurman de puist met sloot, die om deze kavel zit. Deze gedempte sloot wordt 11 jaar later EuroStaete.

Op de kavel 671 komt nu een tankstation en de situatieschetsen behorend bij deze bouwaanvraag in juni 1997 voor dit tankstation zijn in de figuren 5 en 5a (resp. van links naar rechts) te zien.
In figuur 5a is de grens tussen de kavels 669 en 671 getrokken en dan is te zien, dat de donkere wasserij een beetje in de kavel 669 ligt en de hoek van de winkel precies op de grens uitkomt. Omdat de nieuwe eigenaar van de kavel 669 niet voldoende geld heeft, staat de koop van deze kavel op de tocht en kan het tankstation op de kavel 671 niet worden gerealiseerd.

Klik voor een grotere figuur

Klik voor een grotere figuur

Voor dit probleem hebben het Kadaster Assen, gemeente Coevorden en SG. Tankservice te Spakenburg de volgende oplossing. Wij verschuiven een gedeelte van de grens tussen de kavels 671 en 669 gewoon een paar meter op zonder H.G. Beukeveld hiervan op de hoogte te stellen.

Omdat de kavel 669 nu aan de ene kant een stukje kleiner wordt, maken wij hem aan de rechterkant een beetje langer aldus dachten de gemeente Coevorden en het Kadaster Assen, zodat het oppervlak van kavel 669 gelijk blijft. Deze extra ruimte wordt van de kavel 668 van H.G. Beukeveld afgepakt.

De figuren 6 en 6a zijn de nieuwe situatieschetsen behorend bij de bouwaanvraag van het tankstation te zien. Duidelijk is uit deze figuren af te leiden, dat de grens tussen de twee kavels 669 en 671 niet meer recht is. Als de juiste grens wordt getrokken, zoals in figuur 6a is weergegeven, dan is te zien dat de hoek van de wasserij net op de echte scheidingsgrens ligt. Dit gegeven is belangrijk om te onthouden. Om het oppervlak van de kavel 669 gelijk te houden pakken de gemeente Coevorden en het Kadaster Assen aan de rechterkant iets van kavel 668 af. De ratio's c/b en c/a worden hierdoor groter. Omdat b ook iets groter wordt, is de toename c/a groter dan de toename c/b, zie tabel 1. Dat gestolen stuk is in figuur 6a met geel weergegeven.

Klik voor een grotere figuur

Klik voor een grotere figuur

Klik voor een grotere figuur

 In 1998 maakt het Kadaster een aangepaste tekening van de kavel 669 zodat het gezwendel met kavel 669 en 671 niet opvalt. Opvallend is dat de kavel 669 hier bijna een vierkant is, conform de werkelijkheid. Zie hiervoor figuur 7. Opvallend is ook dat kavel 671 hier niet is ingetekend. Echter, vanaf nu wordt niet deze vierkante vorm doch alleen de rechthoekige kavel 669 in alle schetsen weergegeven. Voor het kunnen blijven lezen van de tekst is deze figuur niet gekanteld.

Het kadaster maakt een nieuwe tekening van de situatie en deze is in de figuren 8 en 8a te zien. In figuur 8 ligt de grens tussen de kavels 669 en 671 nu een op paar meter vanaf de wasserij. In figuur 8a is met rood de juiste grens getrokken. Met de juiste grens krijgt de gemeente Coevorden op een tweetal plaatsen problemen met de kavel 668 van H.G. Beukeveld. Deze plaatsen zijn met blauwe cirkels weergegeven. In geel is het door de gemeente Coevorden gestolen grondgebied aangeduid.

Klik voor een grotere figuur

Klik voor een grotere figuur

Het andere probleem wordt door een fietspad gecreëerd.
Onder het tankstation moet een fietspad worden aangelegd zonder dat dit fietspad op het grondgebied van H.G. Beukeveld komt. Want de gemeente Coevorden vraagt H.G. Beukeveld geen toestemming om dit fietspad aan te mogen leggen. Dat dit fietspad over het grondgebied van H.G. Beukeveld komt te lopen is logisch en dat zal worden aangetoond. Deze illegale actie van de gemeente Coevorden is het derde geval van diefstal van grond in de serie van 7.

Omdat H.G. Beukeveld door heeft dat de afbakening van de kavel 669 niet juist is, laat hij in 2002 het Kadaster Assen de grenzen van de kavel 669 opnieuw uitzetten.
Voor deze klus is het Kadaster dagen van te voren bezig om op het terrein alles in orde te maken naar de nieuwe situatie en wat schets uw verbazing. Met kavel 669 te Coevorden is niets aan de hand.

Mede aanleiding tot het in 2002 laten uitzoeken van de grenzen tussen de kavels 668 en 669 door het Kadaster Assen is het feit, dat de gemeente Coevorden onder het tankstation een fietspad aan wil leggen en dit gaat uitvoeren zonder toestemming van H.G. Beukeveld te hebben gevraagd en te hebben gekregen. H.G. Beukeveld weet dan zeker, dat dit fietspad over zijn grondgebied gaat lopen.

Zoals gemeld is het Kadaster Assen dagen van te voren bezig om alle grenzen in het terrein uit te zetten, zodat een en ander klopt met hun gecreëerde situatie. Het simpele feit om een kleine kavel na te meten kost het Kadaster Assen dus dagen aan werkzaamheden. Hier zit meer achter.

Allereerst wordt in de figuren 9 en 9a aangetoond, dat het fietspad met een eigen schets van de gemeente Coevorden wel degelijk over het grondgebied van H.G. Beukeveld loopt.

Klik voor een grotere figuur

Klik voor een grotere figuur

Duidelijk is in figuur 9 te zien dat het fietspad zelfs na de fraude met de verschoven grenscorrectie tussen de kavels 669 en 671 op een tweetal plaatsen op de kavel 668 van H.G. Beukeveld komt te liggen. Deze overtreding is in rood weergegeven. Na correctie van de juiste grens tussen de kavels 669 en 671 is de diefstal van grond van H.G. Beukeveld door de gemeente Coevorden nog veel grover en kan zelfs worden aangetoond dat de gemeente Coevorden en het Kadaster Assen in het verleden ook met de rondweg rond Coevorden en de kavel 668 hebben gesjoemeld, zie hiervoor figuur 9a. Het illegale fietpad heeft op het grondgebied van H.G. Beukeveld de kleur rood.

Diefstal van grond door de gemeente Coevorden met medeweten van het Kadaster
De illegale diefstal van grond voor de rondweg rond Coevorden richting de Duitse grens is de eerste diefstal van grond van H.G. Beukeveld door de gemeente Coevorden in de serie van 7 diefstallen van grond. De uitbreiding van de kavel 669 ten koste van de kavel 668 is de tweede en het illegaal aangelegde fietspad is de derde diefstal, waarbij nog 4 diefstallen van grond volgen.

Zonder toestemming van H.G. Beukeveld legt de gemeente Coevorden dit fietspad aan en bij navraag meldt de gemeente Coevorden in strijd met de werkelijkheid en waarheid, dat het fietspad niet op het grondgebied van H.G. Beukeveld ligt.

Ook het Kadaster Assen neemt in 2002 dit nieuwe fietspad mee in zijn grensafbakening van de kavel 669 en wat schets uw verbazing? Het fietspad ligt niet op het grondgebied van H.G. Beukeveld, zie hiervoor de figuren 10 en 10a.

Nogmaals, om deze malversaties te benadrukken heeft het Kadaster Assen dagen van te voren op het terrein alles opnieuw uitgezet en toen H.G. Beukeveld mocht komen kijken, paste alles precies, zoals het was aangepast aan de nieuwe grens tussen de kavels 669 en 671.

De figuren 10 en 10a geven de situatieschets weer, die het Kadaster Assen in 2002 op verzoek van H.G. Beukeveld rond de kavels 668, 669 en 671 heeft gemaakt. Met deze figuren is te zien dat met het fietspad is gesjoemeld en dat het fietspad bijna op de ringweg uitkomt.

Klik voor een grotere figuur

Klik voor een grotere figuur

Het is duidelijk dat het Kadaster Assen alleen op papier en niet in werkelijkheid de op- en afritten van het tankstation heeft ingekort, zodat voor een buitenstaander lijkt, dat het fietspad op de kavels 669 en 671 is gesitueerd. De werkelijkheid is anders, zoals straks met luchtopnames van Google en Microsoft zal worden aangetoond.
Als wij nu in figuur 10 de constanten: het oppervlak van kavel 669 en de grens die over de hoek van de wasserij loopt evenwijdig aan de foutieve grens hanteren, dan krijgen wij de volgende situatie, die in figuur 10a is weergegeven. Met deze figuur is af te leiden dat door de gemeente Coevorden en het Kadaster een tweetal stukken grond van de kavel 668 van H.G. Beukeveld zijn gestolen. Een stuk ten bate van kavel 669 en een stuk ten bate van 670, beide zijn noodzakelijk om het fietspad aan te kunnen leggen.

Duidelijk is te zien dat het fietspad van de gemeente Coevorden voor een groot gedeelte over de kavel 668 van H.G. Beukeveld loopt.

Later zijn wij wederom op de locatie naar het werkelijk tripelpunt aan het zoeken geweest en toen hebben wij het tripelpunt van de kavels 668, 669 en 671 gevonden, dat zich op de parkeerplaats bij het tankstation bevindt (zie de figuren 11 en 12). Dit tripelpunt is echter niet het juiste punt want, die ligt een paar meter verderop richting de wasserij. Zie hiervoor de te vergroten figuur 12. Vanuit het juiste tripelpunt is af te leiden, dat ook een groot gedeelte van de parkeerplaats rondom het tankstation op het grondgebied van H.G. Beukeveld ligt. Zelfs vanuit het eerste foutieve tripelpunt (figuur 11) is te zien dat het fietspad op de grond van H.G. Beukeveld ligt. Het Kadaster en de gemeente Coevorden pasten dit in 2002 aan zodat volgens hun gefraudeerde gegevens het nieuwe punt de gele plek in figuur 11 werd.

Klik voor een grotere figuur

Klik voor een grotere figuur

Samenvattend in de te vergroten figuur 12 is de gele stip de plek van het echte tripelpunt. Het rood omcirkeld tripelpunt en de gele stip in figuur 11 zijn de vervalste tripelpunten door het Kadaster in samenwerking met de gemeente Coevorden opgezette fraude punten die beide ten koste van de kavel 668 gingen.

Via luchtfoto's van Google en Microsoft (Bing) wordt eveneens aangetoond, dat het fietspad en een stukje van de op- en afrit van het tankstation op de kavel 668 van H.G. Beukeveld liggen, zie hiervoor de figuren 13 en 14.

Klik voor een grotere figuur

Klik voor een grotere figuur

In de figuren 13 en 14 is vanuit luchtfoto's het tankstation te zien.

In deze figuren zijn de grenzen van de kavels 671, 669 en 668 met behulp van de eerder genoemde constanten zo goed als mogelijk is ingetekend. Figuur 13 met de min of meer vierkante kavel 669, zoals deze moet zijn. Rood zijn de tweemaal teveel geanecceerde gebieden tijdens beide fraudezaken. Figuur 14 weerspiegelt de situatie zoals het Kadaster deze in eerste en in tweede instantie heeft weergeven. In eerste instantie is te zien dat het fietspad op de kavel 668 van H.G. Beukeveld ligt, de reden dat de tweede situatie in scene werd gezet.

In figuur 15 is de situatie te zien die in 1832 gold. De kavel met het nummer 149 grenst hier pal aan de Esschebruggedijk. Dat is altijd zo gebleven. Zie hiervoor figuur 16 die 136 jaar later in 1967 is gemaakt. Vanaf 1990 is de Esschebruggedijk door de rondweg steeds breder geworden tot zelfs in 2002 hier een fietspad naast is gelegd. Al deze frauduleuze handelingen gingen zonder toestemming en zonder enige melding volledig ten koste van de kavel 668 van H.G. Beukeveld. Dit kon subtiel plaats vinden door misbruik van de bosschages te maken, die op die plek aanwezig waren.

Klik voor een grotere figuur

Klik voor een grotere figuur

Via een luchtfoto van rond 1980 is in figuur 17 te zien dat de Esschebruggedijk 160 jaar na het ondertekenen van het traktaat tussen de koninkrijken der Nederlanden en Hannover nog steeds voor een groot gedeelte recht is. Als de figuren 13 t/m 17 met elkaar worden gecombineerd, dan is het de grote vraag hoe de Esschebruggedijk zich heeft kunnen verbreden zonder dat H.G. Beukeveld hiervoor op papier via een overeenkomst grond voor in heeft geleverd en hoe daarna in 2002 zelfs nog een fietspad naast deze weg kon worden aangelegd zonder op het grondgebied van H.G. Beukeveld te komen?

Klik voor een grotere figuur

Brengen wij weer in herinnering de brief van de gemeente Coevorden, dat het fietspad niet op het grondgebied van H.G. Beukeveld ligt, dan hebben wij er een probleem bij. Die van een doelbewuste en met voorbedachte rade liegende, bedriegende en stelende overheid.

Aangetoond wordt dat mr H.W.J. Jonker als jurist in dienst van de gemeente Coevorden en schrijver van deze brief en P. Leeuw als ondertekenaar op een groot aantal essentiële momenten de zaken voor H.G. Beukeveld flink hebben belazerd. De onrechtmatige onteigen-ing van de kavel 668, het verdoezelen van een zienswijze, waardoor het internationaal congrescentrum van H.G. Beukeveld niet door ging, het liegen over het fietspad en het initiëren van een illegale weg over EuroStaete zijn hier enkele voorbeelden van. Later kwam hier het illegaal vergroten van de kavel 668 bij om een gedempte sloot, die niet in Nederland ligt achterover te kunnen drukken.

In figuur 18 is de aangepaste tekening van het Kadaster Assen uit 2002 te zien. Deze tekening is het resultaat van het Kadaster na dagen van aanpassen van de locatie. Vergeleken met de andere figuren wijkt deze situatieschets het sterkst af van de werkelijkheid en de ander figuren. Zie hiervoor ook de tabel. Via deze tekening is de naam te achterhalen die aan deze zwendel heeft meegewerkt.
Bij de grenscorrectie rondom het fietspad waren de volgende personen betrokken.
Klik voor een grotere figuur

  • Mr H.W.J. Jonker,

  • Mr ing B.P. Jansema in de functie van burgemeester van Coevorden

  • G. Metselaar, hoofd Economische zaken

  • P. Leeuw, hoofd Ruimtelijke ordening

  • J. Dijkstra, secretaris gemeente Coevorden

  • R.J. Wijnholds, werkzaam bij de gemeente Coevorden

  • H. Bekedam, via de gemeente Coevorden belast met het opmeten van de kavels 669, 668 en 671

  • G. Limburg van het Kadaster Assen

  • Dhr Kammel, gemeente Emlichheim, Duitsland

In onderstaande tabel staan de ratio's verzameld uit de verschillende figuren.

De ratio's uit de figuren 4, 5 en 6 lijken op elkaar. Daarna passen de ratio's uit de figuren 8, 9 en 10 bij elkaar, doch hier wijken de parkeerplaats en het fietspad het meest van elkaar af. Van de serie figuren uit de praktijk wijken de ratio's uit de figuren 13 en 14 sterk af van de ratio's uit de getekende versies. Met andere woorden de praktijk is anders dan de situatieschetsen weergeven.

Het meest van alle figuren wijkt figuur 18 af. Dat zou kunnen omdat wij heel veel geld voor deze tekening hebben moeten betalen om hiermee dubbel te zijn bedrogen en het Kadaster dagen op het terrein bezig is geweest om deze frauduleuze figuur te kunnen maken. De ligging van het fietspad wijkt dermate af van de werkelijkheid en de voorgaande tekeningen dat het Kadaster deze niet samen met de parkeerplaats durfde in te tekenen. Deze fraude van het fietspad zou dan meteen opvallen.

De verschillende gevonden ratio's

a/b

b/c

a/c

c/b

c/a

figuur 4

1,15

figuur 5

1,18

2,32

2,75

0,43

0,36

figuur 6a

1,19

2,35

2,80

0,43

0,36

figuur 8

1,17

1,94

2,28

0,51

0,44

figuur 9

1,17

1,94

2,28

0,51

0,44

figuur 10

1,16

1,96

2,27

0,51

0,44

figuur 13

1,36

2,09

2,83

0,48

0,35

figuur 14

1,42

1,75

2,48

0,57

0,40

figuur 17

1,13

1,71

1,94

0,58

0,52

Met bovenstaand verhaal komt het aantal fraudezaken rondom de kavel K-668 te Coevorden op minimaal 3 te staan. Om dit bestand niet te groot te maken volgen de andere 4 malversaties van het Kadaster Assen met de kavel 668 in andere bestanden.

Hier volgt in het kort een overzicht van deze en de 33 andere fraudezaken van de gemeente Coevorden, die afzonderlijk kunnen worden bekeken.

Fraude door de gemeente Coevorden, provincie Drenthe, Ontwikkelingsmij, Euroregio, NOM
Het betreft hier een tweetal fraudezaken met subsidiegelden vanuit de Euroregio en de NOM waarbij gedeputeerde H. Weggeman voorzitter van deze twee organisaties is en hij vanuit die functies subsidies aan de Duitse exploitatiemaatschappij Europark Coevorden/Emlichheim GmbH geeft, terwijl hij daarbij ook in de Raad van Toezicht van deze Duitse GmbH zit. Deze nevenfunctie geeft H. Weggeman in strijd met de wet niet op, zodat hij met deze subsidies kan frauderen.
Voor een goede weergave van beide subsidiefraudes wordt aanbevolen met deze link te beginnen.

Fraude door de gemeente Coevorden, provincie Drenthe, Raad van State
Deze fraude gaat over een zienswijze waarmee een internationaal congrescentrum van H.G. Beukeveld niet mocht worden gebouwd. Dit internationaal congrescentrum zou deels op de kavel 668 en deels op de Duitse puist komen te liggen. In deze zaak verdoezelt de gemeente Coevorden tijdelijk een zienswijze en liegen de provincie Drenthe en de Raad van State over deze zienswijze van H.G. Beukeveld door te melden, dat de provincie Drenthe geen bedenkingbrieven van H.G. Beukeveld heeft ontvangen. H.G. Beukeveld heeft met tastbaar bewijs voor de Raad van State een tweetal bedenkingbrieven naar de provincie Drenthe gestuurd en hierbij een tweetal bevestigingen voor ontvangen naast een tweetal nietszeggende antwoorden.

Het bij wet verplicht antwoord van gedeputeerde staten Drenthe over deze bedenkingbrieven heeft H.G. Beukeveld niet ontvangen. De leugens van de provincie Drenthe en de Raad van State over het niet hebben ingestuurd van een bedenkingbrief aan gedeputeerde staten Drenthe komen in strijd met de waarheid en de tastbare bewijzen in twee rechtelijke uitspraken van de Raad van State te staan. Liegen in rechtelijke uitspraken is bij Grondwet verboden.
In totaal liegt de Raad van State in ruim 15 zaken tegen de familie Beukeveld, waarbij kan worden gesteld, dat de Raad van State altijd in rechtelijke uitspraken jegens de familie Beukeveld liegt. Het zelfde geldt voor de Nationale ombudsman, die het presteert met zo'n 25 leugens rondom zijn rapport over de discotheek Lord Nelson te komen.

Fraude door de gemeente Coevorden en de ontwikkelingsmaatschappij Europark GmbH
Als burgemeester mr ing. B.P. Jansema van Coevorden mededirecteur van de ontwikkelingsmaatschappij Europark Coevorden Emlichheim GmbH is geworden, die het industrieterrein Europark moet ontwikkelen en hij hier heel veel geld voor heeft gekregen (ruim 13 miljoen gulden), gaat hij als burgemeester en directeur van deze maatschappij H.G. Beukeveld onteigenen door deze onteigeningsprocedure rond de kavel 668 op te starten. Doordat deze kavel ondertussen een ander nummer heeft gekregen, mislukt deze onteigeningsprocedure. De gemeente Coevorden start meteen een nieuwe onteigeningsprocedure, doch die kan door hun belangenverstrengelingen, gegraai, gesnaai en gedraai met subsidies worden afgewend.

Fraude door de gemeente Coevorden, Rabobank, ABN-AMRO en de Duitse Oldenburger bank)
Om de gemeente Coevorden van dienst te zijn bij het goedkoop binnen kunnen halen van de kavel 668 zet de RABO bank Coevorden H.G. Beukeveld plotseling onder druk door binnen een maand de hypotheek van de gehele boerderij op te zeggen. Wij maken hierbij de cardinale fout door dit toe te staan en naar een andere bank (ABN-AMRO) te gaan, die later min of meer hetzelfde doet. Daarna helpen de ABN-AMRO en vanuit Duitsland de Oldenburger bank de gemeente Coevorden door te proberen de gehele familie Beukeveld failliet te maken. Dat lukt hen bijna.

Fraude door de gemeente Coevorden en de Duitse notaris van Elste (Emlichheim)
Bij de door de banken opgedrongen verkoop van de kavel 668 en de Duitse puist aan de gemeente Coevorden drukken de gemeente Coevorden en de Duitse notaris Elste doelbewust en met voorbedachte rade de gedempte sloot om de Duitse puist achterover, die dan plotseling niet meer bestaat en nooit heeft bestaan. Het feit dat de gemeente Coevorden zelf op papier jarenlang deze sloot heeft erkend doet niet meer terzake. De sloot is er niet (meer).
Hiermee pakken zij H.G. Beukeveld veel geld af, die zij in hun eigen zak proberen te steken, want de grond ligt er wel degelijk.
Via leugens wordt dan gemeld dat de gemeente Coevorden de ene helft van sloot via de Nederlandse kavel 668 heeft gekocht en de andere helft via de Duitse puist. Jammer voor hen is dat Nederland hier nooit voorbij de enkelvoudige grenspalen aanpalend grond in het buitenland kan kopen daar Nederland dan groter wordt. Deze vergroting van Nederland is nergens op officieel papier te vinden. Zelfs een oppervlakte van 1 m2 moet schriftelijk via allerlei hoge instanties worden gemeld, laat staan 1500 m2.
Daarnaast heeft de Duitse notaris Elste (Emlichheim) de betreffende sloot niet in het Duitse Grundbuch ingeschreven en ligt deze sloot niet meer in Duitsland. De reden dat van deze sloot, die niet in Nederland kan liggen en niet meer in Duitsland ligt de soevereine staat EuroStaete is gemaakt.

Fraude door het Kadaster Assen, Europark GmbH en de gemeente Coevorden
In bijna elke oude tekening van het Europark staat getekend dat de sloot om de puist opgedeeld is in een Nederlands en Duits gedeelte. Door met geldige grenstraktaten bij de gemeente Coevorden te komen kon worden aangetoond dat deze grens niet mag worden genormaliseerd en dat deze weergave van het Kadaster niet juist is. Zie nogmaals de minuten van de grensstenen met de nummer 142, 143 en 144 uit 1824 die thans nog geldig zijn. In 1960 hebben Nederland en Duitsland deze minuten wederom als de enige bij wet geldige grensafbakeningen verklaard.

Fraude door het Kadaster Groningen, het Duitse Kataster, Europark GmbH en de gemeente Coevorden
Zelfs nadat met geldige grenstraktaten is aangegeven, dat de ene helft van sloot om de puist niet in Nederland ligt, blijven de gemeente Coevorden en het Europark GmbH met behulp van hun genormaliseerde grens volharden in het feit dat zij de ene helft via Nederland en de andere helft via Duitsland hebben gekocht. Hierbij verwijzen zij naar het Nederlandse Kadaster te Groningen en het Duitse Kataster. Beide instanties staan achter deze fraude.
Met deze fraude steelt de gemeente Coevorden via kavel 668 een gedeelte van de gedempte sloot, die niet in Nederland ligt. Dit is de vierde diefstal door de gemeente Coevorden in samenhang met het Kadaster van grond van de familie Beukeveld via de kavel 668 te Coevorden. Om op een totaal van 7 te komen hebben wij nog drie diefstallen van grond te goed. Deze komen er aan.

Fraude door het Landkreis Niedersachsen
Door het probleem over de sloot ook bij de Landkreis Niedersachsen neer te leggen komt deze instantie met een zelfde soort leugens als de gemeente Coevorden en het Europark GmbH. Alleen praat het Landkreis Niedersachsen bewust niet over de sloot doch alleen over het bewerkbaar bouwoppervlak van de Duitse kavel. Het Landkreis Niedersachsen verdoezelt dus de sloot in zijn geheel en dat is zeer belangrijk en mooi meegenomen, daar deze sloot dan ook niet in Duitsland ligt. Hiermee ontstaat EuroStaete dat niet in Duitsland ligt en niet in Nederland kan liggen maar wel in Europa.

Fraude door de gemeente Coevorden, het OM Assen, politie Drenthe en het Ministerie van algemene zaken
Om geen Europees subsidiegeld mis te lopen moet de gemeente Coevorden een weg over EuroStaete aan leggen en zij doet dit zonder de eigenaar hiervan op de hoogte te stellen. Door minister president mr dr J.P. Balkenende en de gemeente Coevorden per brief op de hoogte te stellen van het feit, dat de gemeente Coevorden geen eigenaar is van deze grond in het buitenland gelegen, wordt de brenger van deze slechte boodschap met behulp van een valse aangifte vanuit de gemeente Coevorden in de politiecel opgesloten en gaat de aanleg van deze weg gewoon door. Met de aanleg van deze illegale weg over EuroStaete vindt vanuit kavel 668 door de gemeente Coevorden de vijfde diefstal op rij van grond en nu ook van zand plaats. Aangiften van deze diefstal en vernielingen bij de politie Drenthe en het OM Assen leveren niets op. Valse aangifte daarentegen van de gemeente Coevorden en het OM Assen worden meteen gehonoreerd.

Fraude door de gemeente Coevorden, Ministerie van algemene zaken, politie Drenthe, politie Noord Holland Noord, OM Assen, rechtbank Assen, OM Leeuwarden en het gerechtshof Leeuwarden
In totaal worden door deze instanties 13 valse aangiften jegens de familie Beukeveld ingediend om hen in diskrediet te brengen, zodat zij zich rond EuroStaete en de discotheek Lord Nelson rustig houden en van verdere acties afzien.
Twaalf verschillende aangiften waarvan enkele leidend tot gerechtelijke veroordelingen worden tegen de oprichter en regent van EuroStaete ingediend en deze zijn derhalve direct gerelateerd aan de kavel 668 te Coevorden.

Fraude door de gemeente Coevorden en de NAM BV te Assen
Zonder bericht en zonder toestemming van EuroStaete leggen de gemeente Coevorden en de NAM BV te Assen in 2010 een waterleiding door EuroStaete aan. Via meerdere brieven en mondelinge aanzeggingen is hen deze aanleg verboden, doch hier trekken zij zich niets van aan. Zie deze video waarmee is te zien dat de NAM BV een waterleiding door EuroStaete aanlegt. Deze illegale aanleg is de zesde diefstal van grond door de gemeente Coevorden. Rest nog een frauduleuze handeling om het totaal op 7 te krijgen. De verwachting is dat de gemeente Coevorden vanwege het sterk recidiverend gedrag niet bij deze 7 stopt en als onaantastbare met stelen door blijft gaan is zeer groot. Wij houden u op de hoogte, want een wereldrecord in het Guinness Book of Record moet telkens scherper worden gesteld.

Fraude door de gemeente Coevorden en Intergas Heatings Assets BV te Coevorden
Zonder bericht en zonder toestemming van EuroStaete leggen de gemeente Coevorden en Intergas Heatings Assets BV te Coevorden een deel van een fabriek op EuroStaete aan. De bouwer van deze fabriek is Bouwbedrijf Nieuwenhuis. Zowel de gemeente Coevorden als Intergas zijn aangeschreven met het gegeven, dat zij van EuroStaete geen toestemming hebben om een fabriek op EuroStaete te mogen bouwen. Het aantal stukken grond dat door de gemeente Coevorden via kavel 668 is gestolen komt hiermee op 7 te staan.

Bij elkaar opgeteld is de gemeente Coevorden als dader minimaal bij 36 fraudezaken rondom de kavel 668 te nauw betrokken, het OM Assen bij een twaalftal en het Kadaster bij 7. Zeven maal wordt zonder toestemming door de gemeente Coevorden in samenwerking met het Kadaster stukken grond in beslag genomen. Vanuit bovenstaande fraudes bekeken is hier duidelijk sprake van een grote criminele organisatie met als grote boosdoener en katalysator de gemeente Coevorden.

Gezien het groot aantal uiteenlopende fraude zaken rondom deze kavel wordt de vraag gesteld of dit een wereldrecord is en of dit feit opgenomen kan worden in het Guinness Book of Records?

Mochten deze fraudezaken niet voldoende in aantal en ernst zijn, dan heeft de familie Beukeveld ook nog de grote fraudezaak rondom de discotheek Lord Nelson te Coevorden waarbij kan worden aangetoond dat minimaal 300 overheidsfunctionarissen van importantie waaronder een groot aantal rechters deze zaak hebben geflest.

Mocht ook dit aantal nog niet voldoende zijn dan kan de familie Beukeveld aantonen dat de Nederlandse overheid duizenden veehouders waaronder H.G. Beukeveld onrechtmatig zo'n 6 miljard euro aan melkgeld niet heeft uitbetaald en dat een rechter van het CBB, thans als beloning voor zijn liegen werkzaam bij de Raad van State hierbij uitspraak deed, terwijl hij 9 jaar lang als hoofd Juridische zaken van het ministerie van Landbouw zelf deze fraude heeft gedoogd. U begrijpt dat hij in zijn uitspraak loog en daardoor zijn uitspraak nietig is. Even nietig als al de uitspraken met leugens van de Raad van State.

Mocht zelfs dit niet voldoende zijn dan doen wij melding van de rare zaak over het melkquotum van H.G. Beukeveld erbij en laten wij zien dat de rechtbank Assen in zijn uitspraak H.G. Beukeveld dwingt de wet te moeten overtreden.
Als laatste wordt naar het gerechtshof Leeuwarden verwezen alwaar een brief aan minister president mr dr J.P. Balkenende geschreven uitdraait op een rechtelijke dwaling met de strekking in Nederland geen brief meer op de post te doen, want dat mag zo maar niet. Dit terwijl artikel 5 Grondwet en artikel 10 EVRM het schrijven van een brief aan de overheid toestaat.

Deze zaken worden voor het Guinness Book of Records klaar gemaakt en aan deze instantie aangeboden.
Wordt vervolgd.

Iedere uitwoner die denkt hier iets mee te kunnen doen kan contact opnemen via e-mail
eurostaete@eurostaete.eu of info@eurostaete.eu of via invulformulieren met EuroStaete.

Home Introductie Eurostaete